- 阳春中职,新建体育馆项目、教学楼、学生饭堂、学生宿舍楼等项目建设工程设计方案批前公示
- 资讯类型:热点关注 / 发布时间:2025-12-16 / 浏览:606 次 /
- 2025-12-16 更新 投诉举报
阳春市中等职业技术学校新建体育馆项目、新建教学楼项目建设工程设计方案批前公示
阳春市中等职业技术学校向我局提出关于阳春市中等职业技术学校新建体育馆项目、新建教学楼项目建设工程设计方案审批的申请,根据《中华人民共和国城乡规划法》、《中华人民共和国行政许可法》等法律法规的要求,我局对阳春市中等职业技术学校新建体育馆项目、新建教学楼项目建设工程设计方案进行公示,征求利害关系人意见,利害关系人对公示内容有异议的,可在公示期内向我局反映或申请听证:
一、公示内容如下:
建设单位名称:阳春市中等职业技术学校
建设用地性质:中等职业教育用地
建设项目名称:新建体育馆项目、新建教学楼项目
建设项目地点:阳春市中等职业技术学校东侧HD-ZZD-01地块
建设用地面积:35997.24平方米
方案概况:新建2栋建筑,包括1栋地上2层体育馆,1栋5层教学楼。主要技术经济指标为:容积率0.48,建筑密度20.07%,绿地率43.55%,其他详见公示图。
公示日期:2025年12月16日至2025年12月25日
公示期限:10天
二、如对公示及图纸内容有不清楚的可到我局建设规划股咨询。
三、项目公示内容见市政府网站www.yangchun.gov.cn/公示公告栏或项目现场公示牌。
四、有效意见反馈期限:公示期内
有效期反馈意见方式:书面意见注明联系人姓名、联系电话、联系地址;书面意见请送(或邮寄)阳春市自然资源局办公室(原阳春市国土资源局办公大楼)。
联系电话:0662-7733525 薛女士
阳春市自然资源局
2025年12月15日
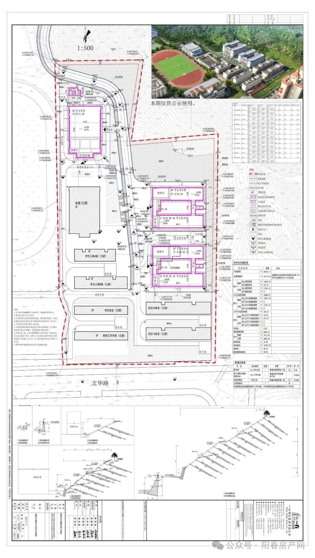
阳春市中等职业技术学校新建学生饭堂项目、新建学生宿舍楼项目建设工程设计方案批前公示
阳春市中等职业技术学校向我局提出关于阳春市中等职业技术学校新建学生饭堂项目、新建学生宿舍楼项目建设工程设计方案审批的申请,根据《中华人民共和国城乡规划法》、《中华人民共和国行政许可法》等法律法规的要求,我局对阳春市中等职业技术学校新建学生饭堂项目、新建学生宿舍楼项目建设工程设计方案进行公示,征求利害关系人意见,利害关系人对公示内容有异议的,可在公示期内向我局反映或申请听证:
一、公示内容如下:
建设单位名称:阳春市中等职业技术学校
建设用地性质:中等职业教育用地
建设项目名称:新建学生饭堂项目、新建学生宿舍楼项目
建设项目地点:阳春市中等职业技术学校东侧HD-ZZD-02地块
建设用地面积:40704.77平方米
方案概况:新建4栋建筑,包括2幢学生宿舍楼、1幢学生饭堂、1幢附属用房。主要技术经济指标为:容积率0.83,建筑密度22.85%,绿地率30.26%,其他详见公示图。
公示日期:2025年12月16日至2025年12月25日
公示期限:10天
二、如对公示及图纸内容有不清楚的可到我局建设规划股咨询。
三、项目公示内容见市政府网站www.yangchun.gov.cn/公示公告栏或项目现场公示牌。
四、有效意见反馈期限:公示期内
有效期反馈意见方式:书面意见注明联系人姓名、联系电话、联系地址;书面意见请送(或邮寄)阳春市自然资源局办公室(原阳春市国土资源局办公大楼)。
联系电话:0662-7733525 薛女士
阳春市自然资源局
2025年12月15日
免责声明:
1、文章图片来源于“百度图片”或转载;
2、我们所转载的所有文章、图片、音频、视频文件等资料版权归版权所有人所有;
3、转载文章,不代表阳春房产网的观点。阳春房产网对其文字、图片与其他内容的真实性、及时性、完整性和准确性以及其权利属性均不作任何保证和承诺,请读者和相关方自行核实;
4、本网页如无意中侵犯了媒体、公司或个人的知识产权,请来电告之,我们将立即予以删除。联系方式请点击网站底部“联系我们”查看。

热点关注
免责声明:本站所刊载的所有的房源信息、活动信息、资料及图片均由网站用户提供,其真实性、合法性由信息发布人负责,本网站不声明或保证其内容之正确性或可靠性。所有信息请与经纪公司、房产公司、家装公司、业主个人等确认为准!